高岡市向野町にホームセンター「コメリPRO高岡店」が2026年3月28日(土)AM7:00オープン!
プロ向け商品を扱う『PRO館』が高岡市に誕生!
資材や建材、工具・金物など、プロユーザーの仕事に欠かせない商品を豊富に取り揃えています。
また、早朝営業や商品の取り置き・取り寄せ、修理工具・機械のレンタルといった多様なサービスも充実!
2022年9月をもって閉店した「スポーツドーム・エアーズ(AIRS)」跡地への出店です。
| 2026年1月11日 公開 | 2026年1月12日 現地画像追加 |
| 2026年3月10日 オープン日情報更新 | 2026年3月27日 営業時間情報更新 |
| 2026年3月31日 現地画像追加 |
コメリPRO高岡店 の概要
コメリPRO高岡店 の概要は以下の通りです。
| 名称 | コメリPRO高岡店 |
| オープン日 | 2026年3月28日(土) |
| 分類 | ホームセンター(資材、建材、工具・金物、作業衣料、園芸 他) |
| 所在地 | 富山県高岡市向野町3丁目43-19 外 |
| 店舗面積 | 2,456㎡ |
| 営業時間 | 平日・祝日 7:00~20:00 / 日曜 9:00~20:00 |

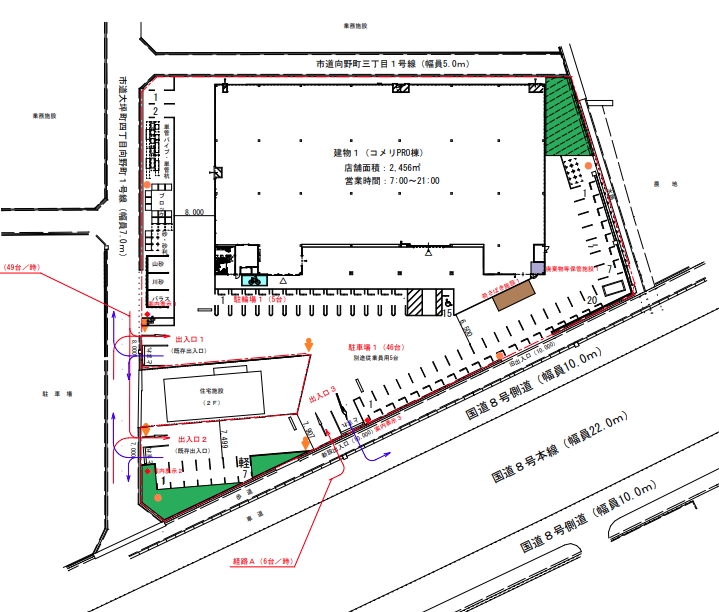
※画像は届け出資料から抜粋
コメリPRO(PRO館)とは
プロの方から倉庫代わりに利用していただけるように、資材・建材や工具・金物などの専門的な商品の品揃えと豊富な在庫量を実現しています。
また、仕事前にも必要な資材を購入できるように、PRO館は早朝より営業しています。
さらに、各種工具等のレンタルや修理、木材のカットや取り置きサービスなど、現場で働くプロのお客様を強力にサポート!

※画像はコメリ公式サイトより引用
2025年10月24日現在の様子

オープン約5か月前の様子!
2025年12月29日現在の様子

オープンの約3か月前の様子!
2026年3月29日現在の様子

オープン翌日の様子!
コメリPRO高岡店 の地図とリンク
2022年をもって閉店した「スポーツドーム・エアーズ」跡地への出店です。
「コメリ」の公式サイトはこちら!

株式会社コメリ
ホームセンターを全国展開する「コメリ」の企業情報やグループサイト、IR・投資家情報、CSR、ニュースリリース、採用情報のほか、店舗・チラシ検索やサービス内容などの関連情報をご紹介しております。
2026年夏オープン予定!ホームセンター「ナフコ高岡」についてはこちら!

ホームセンター「ナフコ高岡店」が高岡市米島に2026年夏オープン予定!□短縮記事
高岡市米島にホームセンター「ナフコ 高岡店」が2026年夏オープン予定!
西日本を中心に展開している「ナフコ」が県内3店舗目を出店!上市店(2015年開業)、黒部店(2022年開業)に続く店舗となります。
資材・DIY・園芸用品や生...
2026年4月18日(土)オープン!「ドラッグコスモス姫野店」についてはこちら!

「ドラッグコスモス姫野店」が高岡市姫野に2026年4月18日(土)オープン!最新情報も!
高岡市姫野に「ディスカウントドラッグ コスモス 姫野店」が2026年4月18日(土)オープン!
国道415号線沿いに出店する店舗となります!
そんな ドラッグ コスモス姫野店について、店舗情報やオープン日などを見ていきましょう!...
2026年4月24日(金)オープン!「バンダイナムコ Cross Store イオンモール高岡店」についてはこちら!

「バンダイナムコ Cross Store イオンモール高岡店」が2026年4月24日(金)オープン!
高岡市下伏間江のイオンモール高岡 西館2階に、バンダイナムコの体験型リテール施設「バンダイナムコ Cross Store イオンモール高岡店」が2026年4月24日(金)オープン!北陸地方初出店!
バンダイナムコグループ各社が展開して...
2026年3月18日(水)より期間限定オープン!「ポケモンセンター出張所 inイオンモール高岡」についてはこちら!

「ポケモンセンター出張所 inイオンモール高岡」が期間限定オープン!◆2026年5月10日(日)まで!
「ポケモンセンター出張所 inイオンモール高岡」は2026年3月18日(水)~2026年5月10日(日)の期間限定営業となります!
まだ行ってない方、もう一回行きたい方はお早目に!
※以下、一部を除きオープンした時の情報がメイン...


